
1.0213 acres
MLS #44198
MLS #44198
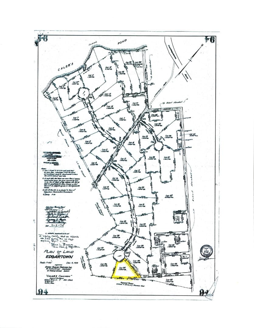
CHAPPAQUIDDICK — Just over one acre in the desirable Calebs Common neighborhood, ideally located near the ferry, beach, and Community Center. Enjoy easy access to beaches, miles of walking trails, and the surrounding conservation land that makes Chappy so special. A wonderful opportunity to create your own island retreat. Per the Board of Health, the lot may support a three-bedroom home with an enhanced system and proper approvals. Also included in the sale is the owner's share of the Calebs Beach Corporation, giving you access to the sandy beach on the outer harbor.
Property highlights
Septic Tank
Well Water
Property Details
- Association Fee:
- Association Fee Includes:
- Basement:
- Fireplace Features:
- Flooring:
- Foundation Types:
- Frontage Type:
- Heating:
- Interior Features:
- Link MLS Comments:
- Lot Features:
- Parking Features:
- Possible Use:
- Assessed Building Value:
- Assessed Land Value:
- None
- From the Chappy Ferry, take Chappaquiddick Road to Litchfield Road. Calebs Common Lane is about 1/2 mile down the dirt road on the left. #23 is at the end of the cul-de-sac.
- 0.00
- 228700.00
Price History
April 06, 2026
$650,000
Tax Information
This property was most recently assessed in 2026. It has been assessed at a value of $228,700. The annual tax responsibility for this property is $567.
Contact an Agent
- Phone number
Property Location
©2026 LINK, All Rights Reserved. Not responsible for misinformation or typographical errors. Prices are subject to change without notice. Listed by Sandpiper Realty.






